EGEDESONSÖZ- Buca Belediye Başkanı Erhan Kılıç, SonSöz TV'de katıldığı programda Gazeteci Fatih Yapar'ın sorularını yanıtladı.
Programda Buca Cezevi'nin yıkıması ve yeniden planlanması ile ilgi yaşanan plan tartışmaları gündem oldu.
TAMAMININ YEŞİL ALAN OLMASINI İSTERİM
Buca Cezevi'nin yıkımı ve planlama süreci ile ilgili yaşanan tartışmalara değinen Başkan Kılıç alanın tamamının yeşil alan olmasının daha faydalı olacağını belirterek 'Benim fikrim açık... Buradan açıkça söylüyorum. Ben de buranın Buca'ya yeşil alan olarak kazandırılmasını, Hasanağa Bahçesi tarzında bir rekreasyon alanı olarak kazandırılmasını istiyorum. Ben buranın tamamının böyle olmasını isterim. Tüm Buca'daki yeşil alanların 10 katına çıkmasını isterim. Hangi belediye başkanı böyle bir alanın tamamının yeşil alan olmasını istemez. Bununla ilgili hiçbir çekince yok' dedi.
BÜYÜKŞEHİR 'YEŞİL ALAN' YAPARSA VE ANLAŞMA OLMAZSA HUKUKEN SORUN ÇIKAR!
Alanın planlanması ile ilgili süreçte işbirliğine gidilmediği sürece sorunun giderilemeyeceğini kaydeden Başkan Kılıç, arazinin yeşil alan kalması için takas formülü önerdi. Başkan Kılıç, 'Şu an hali hazırdaki durum nedir ona bakmak lazım. İş birliğine gidilmediği sürece sorunun çözümü mümkün değil. Burası kadastral bir parsel değil, uzun süre önce planlamaları yapılmış bir alan. Bu planların hiçbirinde tamamı yeşil alan olarak görülmüyor. 1997 yılında ilk planlama yapılmış, 2003 yılından bu planlar değişmiş. Ben burada Cemil Şeboy başkanın ya da Rahmetli Piriştina'ın suçu olduğunu düşünmüyorum. Bu teşvik cezaevi kalksın diye yapılmış olabilir. O zamanın koşullarına göre yapılmış bir planlama… Şu andaki hali hazırda plan var ve 25 bin metrekarelik alana 1,5 emsalli bir kütle oturtulmuş ve milli eğitim arazisinin yer aldığı bir alan var. Mülkiyet sahibi Adalet Bakanlığı şimdi ise İller Bankası lehine bir rant oluşmuş durumda... Burasını yeşil alana çevirmek için işbirliği yapmak lazım. Yasal olarak büyükşehir belediyemiz yeşil alan yaptığında bunun karşılığında anlaşma olmazsa mahkemede sorun çıkabilir. Burada yeni kadastral plan yapılması için mülkiyet sahibinin muvafakatiyeti olmadan yaptıklarımız çok sorunlu olabilir hukuken. Mülkiyet sahibi ile de anlaşarak karşılığında bir takas, kamulaştırma olabilir' şeklinde konuştu.

PARTİM NE DERSE ONU YAPARIM
Partisi tarafından süreç ile ilgili ne karar verilirse uyacağının altını çizen Başkan Kılıç, 'Benim grubum ne derse onu yaparım. Ben aynı zamanda partiliyim. Grubum ne karar verirse ona uyarım. İnceleyeceğiz, koşullarına bakacağız. Ben hukukçuyum. Bizde dosya gelip tam incelenmeden bir şey yapılmaz. Kamusal anlamda Buca Belediyesi ve Buca halkının menfaatleri dışında bir durum oluştuysa tabii ki itirazımızı yapacağız. Ancak dosya incelemeden olmaz. Bizim genel itibari ile tavrımız, buranın tamamının rekreasyon alanı olması yönünde. Bununla ilgili İzmir Büyükşehir Belediye başkanımız gereğini yapacaktır. 1/5000'lik yetkinin Büyükşehir'de olmasından dolayı başkanımız gereğini yapacaktır. Bizde bize düşen bir şey olursa onu yapacağız. Bu en doğal durum… Vatandaşın lehine oluşacak bir durum varsa Buca'nın en büyük sorunu trafik… Adnan Kahveci Caddesi'ni trafiğe açtığımızda göreceksiniz tepkileri. Buca'yı tam ortadan bölen bir yol. Yolun tam ortasında pazaryeri var ve onu kaldırıyoruz farklı bir yere taşıyoruz. Yolu açmak için hali hazırdaki mülk sahibi ile istişare yapmak bence çok iyi bir durum. Kentteki kimsenin istediği bir durum değildi cezaevi. Ortadan kalkmalıydı ve kalktı. Şimdi yol açıyoruz ve buraya yeşil alan mı yapalım diye tartışıyoruz. Bence gayet iyi bir durum… Tartışmadan nasıl gerçeği bulacağız. Bu tür tartışmalar güzel. Burada muhalefet iktidar oturacak. İnsanoğlu her zamanen uygun yolu bulur. Hem yasalar hem işbirliği hem de mantık çerçevesinde yapılacak her çalışma vatandaş için faydalı olur. İller Bankasından muvafakat alınacak ve yol açılacak. Hizmette siyaseti bir kenara bırakırsanız kent yöneticileri çok ciddi anlamda konulara eğiliyor. CHP'den de tüm vekillerimiz çok ciddi mücadele verdiler ve büyük bir kitle ortadan kalkmış oldu. AK Parti'den de vekiller çok ciddi bir mücadele verdi ve kentin çok büyük sorunlarından biri ortadan kalktı. Vatandaş için yol açılıyor, pazaryeri yapılıyor. Kütle ortadan kalktı… Bu çok güzel bir şey değil mi?' ifadelerini kullandım.

NE OLMUŞTU?
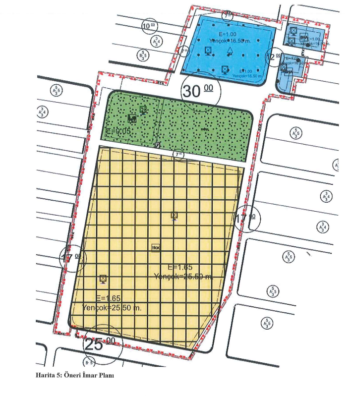
Cezaevinin yıkımının ardından planda 'AVM alanı' olarak geçen arazi ile ilgili Büyükşehir Belediyesi alanın yeşil alan ve otopark olarak planlanması için çalışma başlatacağını duyurmuş ve meclis gündemine getirilen öneri İmar Komisyonu'nda görüşülmesi için gönderilmesi kararlaştırılmıştı.
AK Parti İzmir Milletvekili Mahmut Atilla Kaya, cezaevi için alınan AVM alanı kararının dönemin CHP'li Büyükşehir Belediyesi ile Buca Belediyesi tarafından hazırlandığını, AVM alanı ibaresinin plandan kaldırıldığını, alanın rezerv alan ilan edildiğini ve bu karar sebebiyle planlamanın yasal olarak Çevre, Şehircilik ve İklim Değişikliği Baknalığı tarafından yapılabileceğini belirtmişti.
Bakanlığın yeni planlamasında ise 42 bin 336 metrekarelik ticaret ve konut alanı, 7 bin 819 metrekarelik ilkokul alanı, 2 bin 607 metrekarelik belediye hizmet alanı, 13 bin 496 bin metrekarelik yol ve otopark alanı, 20 bin 500 metrekarelik açık ve yeşil alan belirlendi. Ticaret ve konut alanı için 1,65 emsal, okul ve belediye hizmet alanı için 1 emsal, yeşil alan için 0,05 emsal yapılaşma hakkı tanındı.





